|
DIAMOND IN THE ROUGH HANDYMAN SPECIAL! Come see this 1999 4/2 27x60 Skyline DoubleWide Mobile Home. Outside Features a new 2025 shingle roof, 8x10 Sundeck, 8x10 metal shed and concrete driveway sitting on a .25 acre paved road fenced lot backed up to a 105 acre Lake Bryant Prairie giving you permanent privacy and wildlife watching year round! The home is 1606 sq ft living area. Inside features a 2021 Guest Bath tub & shower, decorative wainscoting in the livingroom and dining room, wood burning fireplace, Eat-in Kitchen, 24 Kitchen Cabinets, pantry, twin windows overlooking the prairie, 3 walk-in closets and a Garden tub & shower in the master bedroom. The home needs new floor covering, interior painting and a good cleaning. The 2014 Central A/C Heat unit is not working. The home currently is using 3 window A/C units and space heaters for heat. Roofing permit number 2025011063. Includes range, refrigerator, ceiling fan, 3 window A/C units, armoire, shed, 2 electric fireplaces, book case. NO HOA / NO pet limits! Includes community water. The 700 acre free Lake Bryant access boat ramp is just 4 blocks away with some of the best BIG BASS fishing, boating, jet skiing, sailing and kayaking anywhere! An excellent inexpensive Rental, Homestead or investment property at an affordable price of just $99,900! It just needs some TLC, updates and elbow grease, If you've got the time, You've got a great deal! HURRY! Home is located in the Ocala National Forest which affords you almost a ½ million acres of Forest to roam, 600 lakes, 2 rivers, Juniper Springs, Silver Glen Springs, Salt Springs, Swimming, Skiing, Big BASS Fishing, Boating, Camping, Hiking, Horse back riding and some of the best ATV riding anywhere. Daytona Beach is just 1 hour away. Let the fun begin! You need it!
| DAYS ON MARKET | 1 | LAST UPDATED | 3/31/2026 |
|---|---|---|---|
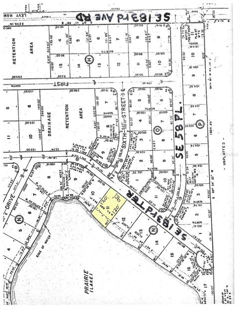
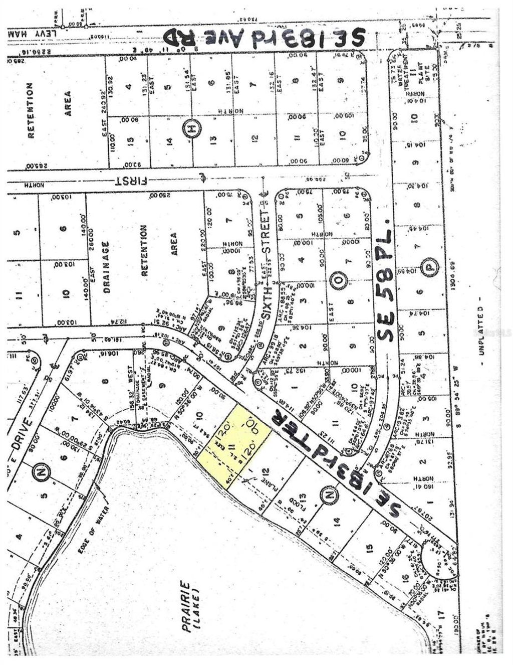
| TRACT | WINDING WATERS ADD 01 | YEAR BUILT | 1999 |
| COMMUNITY | 32179 - Ocklawaha | COUNTY | Marion |
| STATUS | Active | PROPERTY TYPE(S) | Mobile/Manufactured |
| Elementary School | East Marion Elementary School |
|---|---|
| Jr. High School | Ft McCoy Middle |
| High School | Lake Weir High School |
| ADDITIONAL DETAILS | |
| AIR | Wall/Window Unit(s) |
|---|---|
| AIR CONDITIONING | Yes |
| APPLIANCES | Range, Refrigerator |
| AREA | 32179 - Ocklawaha |
| BASEMENT | Crawl Space |
| CONSTRUCTION | Vinyl Siding |
| EXTERIOR | None |
| FIREPLACE | Yes |
| HEAT | Space Heater |
| INTERIOR | Eat-in Kitchen, Open Floorplan, Walk-In Closet(s) |
| LOT | 0.25 acre(s) |
| LOT DESCRIPTION | Cleared, Level, Paved |
| LOT DIMENSIONS | 90x120 |
| SEWER | Septic Tank |
| STORIES | 1 |
| STYLE | Traditional |
| SUBDIVISION | WINDING WATERS ADD 01 |
| TAXES | 985.89 |
| UTILITIES | Cable Available, Electricity Connected, Phone Available, Sewer Connected, Water Connected |
| VIEW | Yes |
| VIEW DESCRIPTION | Trees/Woods |
| WATER | Public |
MORTGAGE CALCULATOR
TOTAL MONTHLY PAYMENT
0
P
I
*Estimate only
| SATELLITE VIEW |
| / | |
We respect your online privacy and will never spam you. By submitting this form with your telephone number
you are consenting for Greg
Lord to contact you even if your name is on a Federal or State
"Do not call List".
Listing provided by Daniel Craig, SUN REALTY & ASSOC, 352-625-2001
The information contained herein has been provided by My Florida Regional MLS DBA Stellar MLS. IDX information is provided exclusively for consumers' personal, non-commercial use, that it may not be used for any purpose other than to identify prospective properties consumers may be interested in purchasing, and that the data is deemed reliable but is not guaranteed accurate by the MLS. Listings last updated 4/1/26 7:56 AM PDT.
This IDX solution is (c) Diverse Solutions 2026.