6910 NW 35th Avenue Road, Ocala, FL 34475 (MLS # OM709357)

Save to Favorites
Print
Share
PRICE $1,500,000 dsIDX morgage calculator
BEDS 0
BATHS 0
HOME SIZE n/a
LOT SIZE 43.71 ac

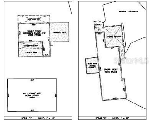
Two Parcels 43.71 Acres total, Land Use Commerce District. Property is located in close proximity to newly approved I75 interchange. Property is fully fenced 2X4/ field wire barbed across the top. There is an old house on the property considered to have no value but could be rehab to an office, metal building and pole barn on the property. Previously mined property, fully reclaimed and soil density tests available.

DAYS ON MARKET 69 LAST UPDATED 9/10/2025
TRACT NA YEAR BUILT 0
COMMUNITY 34475 - Ocala COUNTY Marion
STATUS Active PROPERTY TYPE(S) Lot/Land/Acreage


ADDITIONAL DETAILS
AREA 34475 - Ocala
BARN/EQUESTRIAN Yes
LOT 43.71 acre(s)
LOT DIMENSIONS X
SEWER Septic Tank
SUBDIVISION NA
TAXES 938.07
UTILITIES Electricity Available
VIEW Yes
VIEW DESCRIPTION Trees/Woods
WATER Private, Well
MORTGAGE CALCULATOR
   

TOTAL MONTHLY PAYMENT

0
P
I
*Estimate only

SATELLITE VIEW



 
CONTACT US ABOUT 6910 NW 35TH AVENUE ROAD
 / 
We respect your online privacy and will never spam you. By submitting this form with your telephone number you are consenting for Greg Lord to contact you even if your name is on a Federal or State "Do not call List".

Listing provided by Anthony White, COLDWELL BANKER ELLISON REALTY O, 352-732-8350
The information contained herein has been provided by My Florida Regional MLS DBA Stellar MLS. IDX information is provided exclusively for consumers' personal, non-commercial use, that it may not be used for any purpose other than to identify prospective properties consumers may be interested in purchasing, and that the data is deemed reliable but is not guaranteed accurate by the MLS. Listings last updated 11/17/25 1:18 PM PST.

This IDX solution is (c) Diverse Solutions 2025.