11320 SE 131st Ter, Dunnellon, FL 34431 (MLS # O6395296)

Save to Favorites
Print
Share
PRICE $24,900 dsIDX morgage calculator
BEDS 0
BATHS 0
HOME SIZE n/a
LOT SIZE 43,560 sqft

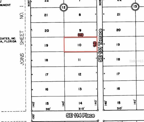
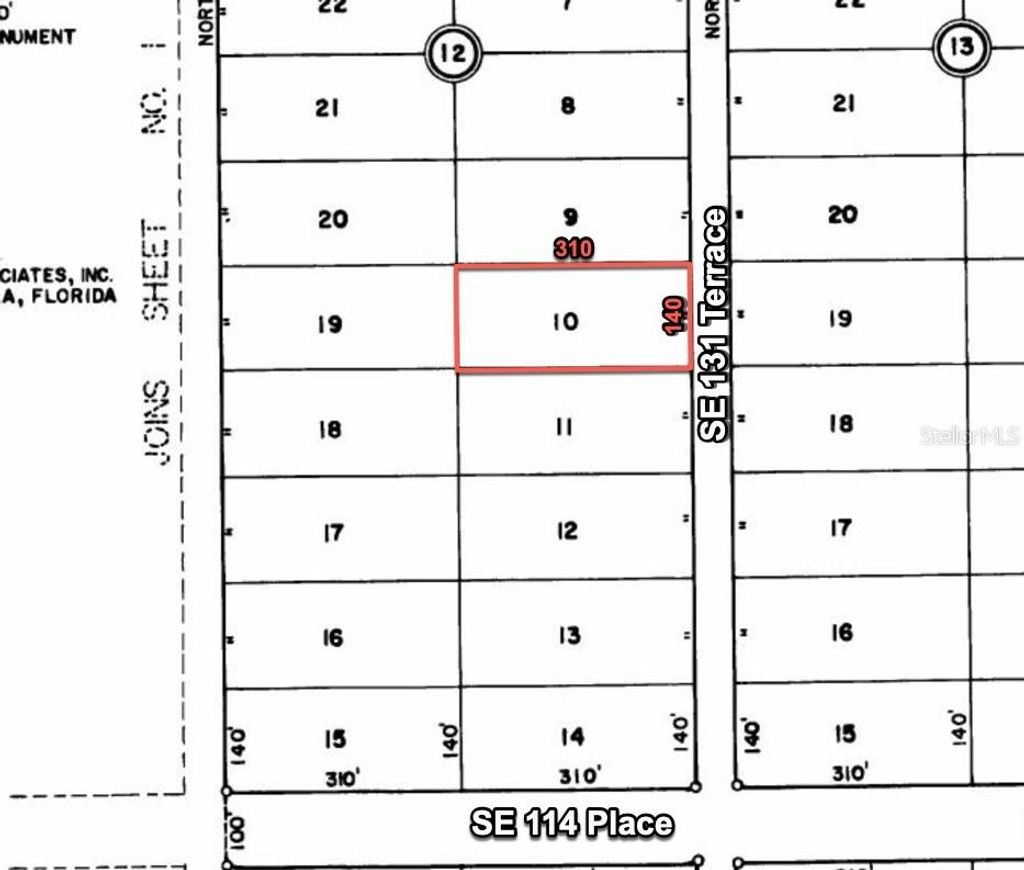
Land - They don't make it anymore! 1 acre, high and dry home site on a paved road with electricity services in front of the property on the street. Maximum peace and quiet. Build your dream home today or invest in your future! Located in Dunnellon, Levy County, in the heart of North Central Florida. Enjoy the rural atmosphere, outdoor activities, and nearby attractions. An outdoor paradise awaits. Yet, shopping, dining, and excellent healthcare facilities are all nearby. Ocala, Orlando, and the Tampa Bay area are all an easy commute. Own it today for a quick cash price of $21,900. That's way below market! The subject is a vacant lot and does not yet have an assigned address. The address is approximate, is based on online resources, and is for mapping purposes only. Use the address to the south at the southwest corner of SE 114 PL and SE 131 Ter of 13171 SE 114 PL to help navigate to the area or use 29.166369, -82.549633 in your GPS or Goog maps to navigate directly to the property. The subject is located along the west side of SE 131 Terrace, approximately 560 feet (.11 mile) north of SE 114th Place . From the corner of County Road 337 and SE 114th Place, head east on SE 114th Place for .7 mile before turning left (north) on SE 131st Terrace. The subject is on your left, approximately .11 mile (560 feet) down. Look for the orange flags

DAYS ON MARKET 1 LAST UPDATED 3/31/2026
TRACT RAINBOW LAKES ESTATE YEAR BUILT 0
COMMUNITY 34431 - Dunnellon COUNTY Levy
STATUS Active PROPERTY TYPE(S) Lot/Land/Acreage


ADDITIONAL DETAILS
AREA 34431 - Dunnellon
LOT 1 acre(s)
LOT DESCRIPTION Interior Lot, Paved, Wooded
LOT DIMENSIONS 140X310
SEWER Septic Needed
SUBDIVISION RAINBOW LAKES ESTATE
TAXES 258
UTILITIES Electricity Available, Phone Available
VIEW Yes
VIEW DESCRIPTION Trees/Woods
MORTGAGE CALCULATOR
   

TOTAL MONTHLY PAYMENT

0
P
I
*Estimate only

SATELLITE VIEW



 
CONTACT US ABOUT 11320 SE 131ST TER
 / 
We respect your online privacy and will never spam you. By submitting this form with your telephone number you are consenting for Greg Lord to contact you even if your name is on a Federal or State "Do not call List".

Listing provided by Gary Pendergast, FLORIDA RE ANALYSTS, INC, 407-702-8363
The information contained herein has been provided by My Florida Regional MLS DBA Stellar MLS. IDX information is provided exclusively for consumers' personal, non-commercial use, that it may not be used for any purpose other than to identify prospective properties consumers may be interested in purchasing, and that the data is deemed reliable but is not guaranteed accurate by the MLS. Listings last updated 4/1/26 6:13 AM PDT.

This IDX solution is (c) Diverse Solutions 2026.